Ragasa trở thành bão mạnh nhất thế giới kể từ đầu năm
(Dân trí) - Với sức gió duy trì lên tới 270km/h trong một khoảng thời gian ngắn, Ragasa trở thành cơn bão mạnh nhất trên Trái Đất kể từ đầu năm nay.

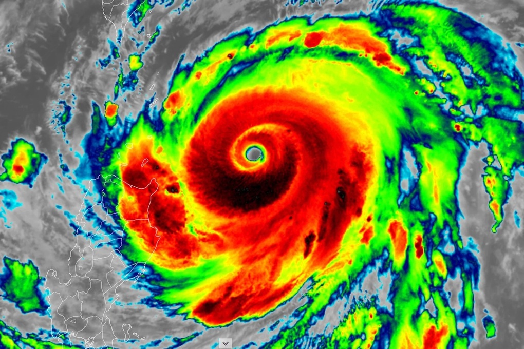
Bão Ragasa đã mạnh lên thành siêu bão từ ngày 21/9 và được dự báo sẽ suy yếu sau khi đi qua đảo Luzon của Philippines (Ảnh: Weather).
Bão Ragasa hôm 21/9 đã mạnh lên thành siêu bão với sức gió mạnh nhất vùng gần tâm bão lên tới 270km/h. Điều này chính thức xếp Ragasa vào cấp 5 theo thang Saffir-Simpson, mức cao nhất có thể. Hiện bão tạo ra sóng cao từ 11m đến 12m
Ảnh vệ tinh cho thấy mắt bão nhỏ gọn, rõ ràng với các dải mây đối xứng hoàn hảo, dấu hiệu đặc trưng của một cơn bão cực mạnh.
Trang Weather Network dẫn phân tích của các chuyên gia đã chỉ ra một số nguyên nhân khiến bão Ragasa mạnh bất thường.
Những lý do này có thể kể đến như: Gần như không có hiện tượng đứt gió làm gián đoạn cấu trúc bão; Nhiệt độ mặt biển gần 30°C, cung cấp nhiều năng lượng; Hệ thống thoát khí của bão hoạt động tốt theo mọi hướng, qua đó duy trì cấu trúc đối xứng.
Siêu bão Ragasa được dự báo sẽ giữ cường độ gần cực đại trong vòng vài giờ tới, trước khi dần suy yếu khi quét qua Philippines và tiến vào Biển Đông.
Hôm 21/9, giới chức Philippines và đảo Đài Loan đã yêu cầu tiến hành sơ tán người dân ở các khu vực có nguy cơ bị ảnh hưởng bởi siêu bão Ragasa.
Chuyên gia thời tiết Philippines John Grender Almario cho biết trong buổi họp báo ngày 21/9 rằng các khu vực phía bắc đảo chính Luzon có thể phải đối mặt với “lũ lụt nghiêm trọng và sạt lở đất”.
“Chúng tôi dự báo tác động của siêu bão sẽ bắt đầu được cảm nhận từ tối nay. Mức độ ảnh hưởng mạnh nhất sẽ là vào lúc 8h sáng mai”, ông nói.
Gió mạnh và mưa lớn cũng có khả năng xảy ra ở nhiều khu vực khác của Luzon, mặc dù thủ đô Manila được dự báo phần lớn sẽ không bị ảnh hưởng trực tiếp.
Philippines là khối đất liền lớn đầu tiên nằm trên đường đi của các xoáy thuận nhiệt đới ở Thái Bình Dương, và quốc đảo này hứng chịu trung bình 20 trận bão và siêu bão mỗi năm. Điều này khiến hàng triệu người dân ở các vùng dễ bị thiên tai luôn phải sống trong cảnh khó khăn.
Các nhà khoa học cảnh báo bão đang ngày càng trở nên dữ dội hơn khi Trái Đất ấm lên, một phần do tác động từ biến đổi khí hậu do con người gây ra.
Cùng ngày, Đài thiên văn Hong Kong cho biết thời tiết tại trung tâm tài chính này sẽ “xấu dần đi” trong 2 ngày là 23/9 và 24/9, với gió mạnh cấp bão và mực nước biển dâng do sóng lớn, tương tự như những gì đã xảy ra trong trận siêu bão Mangkhut năm 2018.













