Siêu bão Ragasa tàn phá Trung Quốc nặng nề, loạt doanh nghiệp phải đóng cửa
(Dân trí) - Siêu bão Ragasa gây thiệt hại nghiêm trọng tại Trung Quốc, buộc hàng loạt doanh nghiệp tạm dừng hoạt động. Các tập đoàn năng lượng phải gấp rút triển khai biện pháp ứng phó.
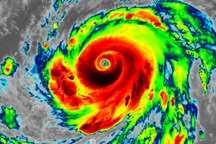
Siêu bão Ragasa - cơn bão mạnh nhất thế giới năm 2025 - đang gây thiệt hại nghiêm trọng cho các khu vực miền Nam Trung Quốc, nơi được dự báo tiếp tục mưa to, gió lớn đến ngày 26/9.
Theo South China Morning Post, ngày 24/9, siêu bão Ragasa đổ bộ miền nam Trung Quốc, gây gió giật 212km/h ở Chu Hải, Quảng Đông khiến hàng chục triệu người chịu ảnh hưởng. Hơn 10 thành phố ở Quảng Đông phải đóng cửa trường học, chợ, doanh nghiệp và ngưng giao thông công cộng.
Thâm Quyến hủy hơn 500 chuyến bay, dừng toàn bộ xe buýt, taxi, tàu điện ngầm và cao tốc từ tối ngày 23/9. Các tập đoàn lớn như Foxconn, Meituan, Alibaba, JD.com cũng tạm ngưng hoạt động.
Bão Ragasa gây mưa lớn ở Hong Kong, Trung Quốc (Nguồn: AP).
Người dân được khuyến cáo tích trữ nhu yếu phẩm, di chuyển vào đất liền; nhiều khách sạn được trưng dụng làm nơi trú ẩn. Chính quyền gia cố cửa kính, dọn vật cản, chặt cây lớn và kiểm tra công trình, đường hầm, khu vực núi để phòng rủi ro.
Các công ty bảo hiểm tại Thâm Quyến mở đường dây nóng 24/7, điều hàng trăm xe cứu hộ và xe kéo hỗ trợ người dân, đồng thời phối hợp chính quyền giám sát thành phố bằng drone.
Các tập đoàn năng lượng Trung Quốc cũng tăng cường phòng ngừa. Tập đoàn Hạt nhân quốc gia sơ tán hơn 14.000 công nhân khỏi công trường xây dựng nhà máy điện hạt nhân Lufeng. Tập đoàn Điện lưới miền nam huy động 40.000 nhân viên ứng phó tại 5 tỉnh.

Cảnh tan hoang tại một nhà hàng ở Hong Kong (Trung Quốc) sau bão (Ảnh: Reuters).
Tại Đài Loan (Trung Quốc), siêu bão Ragasa gây lở đất, làm vỡ hồ chứa nước lớn ở huyện Hoa Liên, khiến 14 người chết, 18 người bị thương và hàng trăm người mất tích, theo Xinhua.
Theo cơ quan khí tượng Thâm Quyến, cường độ gió trung tâm của Ragasa đạt đến 55m/s, vượt qua siêu bão Mangkhut - cơn bão mạnh nhất thế giới năm 2018. Tuy nhiên khi di chuyển gần vùng biển Thâm Quyến, sức gió ảnh hưởng thành phố dự báo yếu hơn bão Mangkhut.
Năm 2018, cơn bão Mangkhut đã làm ít nhất 4 người chết ở Quảng Đông và gây thiệt hại kinh tế trực tiếp hơn 4,2 tỷ nhân dân tệ.











