Ảnh bão Haiyan tàn phá miền trung Philippines
(Dân trí) - 3 người đã thiệt mạng và 1 người mất tích khi bão Haiyan mang theo gió mạnh và mưa lớn ập vào miền trung Philippines rạng sáng nay 8/11. Đây là cơn bão mạnh nhất thế giới kể từ đầu năm tới nay, với sức gió lên tới 315 km/h.

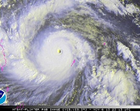
Mắt bão Haiyan trong một bức ảnh chụp từ vệ tinh.

Bầu trời trắng xóa khi bão Haiyan đổ bộ tỉnh Leyte của Philippines ngày 8/11. Người dân Philippines gọi bão Haiyan bằng cái tên Yolanda.

Gió mạnh và mưa xối xả ập một ngôi nhà tại thành phố Tacloban, tỉnh Leyte.

Mưa trắng trời ở thành phố Tacloban.

Bão Haiyan với sức gió lên tới 315 km đã đổ bộ vào các tỉnh ở miền trung Philippines lúc 4h40 sáng nay giờ địa phương.



Gió bão quật đổ cây cổ thụ tại Barangay Mabolo, thành phố Cebu.

Cây đổ ngang đường làm cản trở giao thông ở Irosin, tỉnh Sorsogon.

Cây đổ đè vào nhà dân.

Chính phủ Philippines cho biết 3 người được xác định đã thiệt mạng và 1 người mất tích do bão Haiyan. Tuy nhiên, số thương vong được dự báo còn tăng do chưa có con số thống kê đầy đủ và nhiều khu vực bị mất liên lạc.

Rác rưởi trôi lềnh bềnh trên một con đường bị ngập tại thành phố Tacloban.

Gió bão thổi bay một tấm tôn.


Giao thông hàng không đã bị ảnh hưởng nặng nề do bão Haiyan. Philippine Airlines, Cebu Pacific và các hãng hàng không khác đã thông báo hủy hàng trăm chuyến bay, phần lớn là các chuyến nội địa.

Mưa lớn đã gây ngập lụt nhiều con đường ở miền trung Philippines.

Người dân tại thành phố Legazpi tại tỉnh Albay đi sơ tán hôm 7/11.

Một phụ nữ đưa 2 con đi sơ tán dưới trời mua ở Cebu.

Một khu thể thao được chuyển thành trung tâm sơ tán cho người dân địa phương tại thành phố Sorsogon thuộc vùng Bicol. Giới chức Philippines đã sơ tán hàng nghìn người để tránh bão mạnh.

Ảnh mô phỏng đường đi của bão Haiyan. Theo dự báo, cơn bão này sẽ vượt qua Philippines đi vào Biển Đông vào đêm nay 8/11.
Xem video:
An Bình
Tổng hợp














