Nam thiếu niên mang cục sỏi khổng lồ ở bàng quang
(Dân trí) - Nhập viện trong tình trạng tiểu khó, thường xuyên đau vùng bụng dưới kèm theo sốt nhẹ, bệnh nhân được bác sĩ xác định có cục sỏi khổng lồ nằm trong bàng quang.
Ngày 3/3, thông tin từ Bệnh viện Nhi Đồng 2, TPHCM cho biết, tại đây vừa tiếp nhận, can thiệp cho một trường hợp có cục sỏi rất lớn ở bàng quang. Bệnh nhân là cậu bé N.V.M. (15 tuổi) được người nhà chuyển đến bệnh viện cấp cứu và nhập khoa Niệu trong tình trạng tiểu rặn, đau, kèm theo sốt.
Qua khai thác bệnh sử của bác sĩ ghi nhận, bệnh nhi có tiền căn từng bị nhiễm trùng tiểu nhiều lần phải nhập viện điều trị. Cậu bé cũng từng phải phẫu thuật 2 lần lấy sỏi kích thước lớn ở bàng quang. Từ thông tin trên, bác sĩ nghi ngờ bệnh nhi đã bị sỏi bàng quang tái phát nên tiến hành kiểm tra.

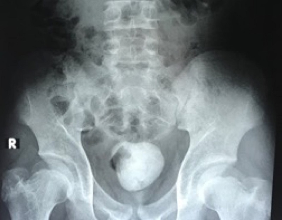
Các xét nghiệm và kết quả khảo sát hình ảnh cho thấy bệnh nhi bị sỏi bàng quang tái phát với kích thước lớn khoảng 10cm. Đây là nguyên nhân khiến cậu bé tiểu khó, tiểu đau, thậm chí gây bí tiểu do sỏi che lấp cổ bàng quang và niệu đạo nên nước tiểu không thoát ra ngoài được. Nước tiểu ứ đọng trong bàng quang tạo điều kiện cho vi trùng phát triển gây nên tình trạng nhiễm trùng đường tiểu.
Bệnh nhi được tiến hành đặt thông tiểu để nước tiểu thoát ra tạm thời và tiêm kháng sinh tĩnh mạch để điều trị nhiễm trùng tiểu. Với đường kính 10cm của viên sỏi, việc tán sỏi bằng laser ít xâm lấn qua ngã niệu đạo – bàng quang hầu như không thể thực hiện được. Do đó phương án mở bàng quang lấy sỏi là lựa chọn duy nhất.
Tuy nhiên với phương pháp mổ mở thông thường (rạch da bụng, tách cân cơ và mở bàng quang ngoài phúc mạc) sẽ gặp khó khăn với các vết sẹo cũ trên bụng bệnh nhi từ các lần mổ trước để lại. Nó làm cho các tổ chức mô cơ thể dính chặt vào nhau gây khó khăn trong việc phẫu tách và mất máu nhiều trước khi tiếp cận được bàng quang. Đồng thời tăng nguy cơ nhiễm trùng và chậm lành vết thương sau phẫu thuật. Việc áp dụng kỹ thuật mổ nội soi lấy sỏi bàng quang trong phúc mạc sẽ tránh được những nguy cơ này. Sau khi tình trạng nhiễm trùng ổn cậu bé được tiến hành mổ lấy sỏi bàng quang bằng phương pháp nội soi.

Phương pháp nội soi lấy sỏi trong phúc mạc đã giúp bệnh nhi nhanh chóng bình phục
Bệnh nhi được gây mê toàn thân, ê kíp can thiệp đã dùng dụng cụ nội soi đưa vào khoang phúc mạc (ổ bụng) thông qua 3 vết rạch nhỏ ở bụng, tiếp cận dễ dàng với bàng quang trong ổ bụng. Các phẫu thuật viên đã tiến hành mở bàng quang lấy sỏi cho vào túi biệt lập đưa ra ngoài thành công. Thao tác phẫu thuật nhẹ nhàng, ít xâm lấn đã giúp bệnh nhi nhanh chóng phục hồi sau cuộc nội soi lấy sỏi.
Theo TS.BS Phạm Ngọc Thạch, Phó Giám Đốc phụ trách khối Ngoại Bệnh viện Nhi Đồng 2: Phương pháp mổ nội soi lấy sỏi bàng quang trong phúc mạc là một kỹ thuật mới. Bằng phương pháp này các vết mổ nội soi có kích thước nhỏ giúp bệnh nhân ít đau sau mổ, vết thương lành nhanh và sớm hồi phục. Đặc biệt trong trường hợp trên, nội soi ổ bụng giúp tránh được các nguy cơ từ vết mổ cũ ở bệnh nhân đã được mổ mở nhiều lần trước đó. Nó cũng phù hợp với xu hướng phát triển phẫu thuật của thế giới là “phẫu thuật xâm lấn tối thiểu”.
Vân Sơn










