ĐH Mỹ liên tục ra cảnh báo, cập nhật nơi trú ẩn sinh viên tránh bão Milton
(Dân trí) - Để đảm bảo an toàn cho sinh viên, các trường đại học tại bang Florida (Mỹ) và khu vực lân cận đã chủ động báo lịch nghỉ và cập nhật các lựa chọn di tản cho sinh viên từ trước khi bão đổ bộ.
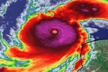
Bão Milton có sức gió cực mạnh, lên tới 200km/h. Bão đổ bộ gây mưa xối xả, cộng thêm sức gió nguy hiểm làm tăng nguy cơ lũ quét cục bộ, đe dọa tới tính mạng và tài sản của người dân tại những nơi bị ảnh hưởng trực tiếp bởi cơn bão.
Milton là cơn bão thứ hai đổ bộ trực tiếp vào bang Florida (Mỹ) trong vòng hai tuần trở lại đây. Cơn bão Helene trước đó đã gây thiệt hại về người và của ở nhiều bang của Mỹ, khiến hơn 220 người thiệt mạng.
Các trường đại học tại bang Florida và khu vực lân cận đã liên tục đưa ra cảnh báo để sinh viên lựa chọn giải pháp an toàn, phù hợp với bản thân.

Đại học South Florida đã có kế hoạch hỗ trợ gần 50.000 sinh viên của trường trước bão Milton (Ảnh: USF).
Đại học South Florida nằm ở thành phố Tampa, bang Florida, nơi trực tiếp bị ảnh hưởng bởi cơn bão Milton, đã có sự chuẩn bị kỹ càng, để giúp gần 50.000 sinh viên của trường có kế hoạch tránh bão an toàn.
Đại học South Florida đã cho sinh viên nghỉ học từ trước khi bão đổ bộ. Trường thông báo đóng cửa tất cả các ký túc xá, yêu cầu sinh viên di tản đến những nơi an toàn theo danh sách nhà trường đã cung cấp.
Các địa điểm này được nêu cụ thể trong email gửi tới các sinh viên, đi kèm với đó là yêu cầu chi tiết của từng địa điểm tránh trú để sinh viên có thể tìm được khu tránh trú phù hợp.
Trong email được gửi tới các sinh viên từ đầu tuần, nhà trường ghi rõ những địa điểm không có điều kiện tiếp nhận vật nuôi hoặc sinh viên phải tự lo đồ ăn và các tiêu chí an toàn cho vật nuôi của mình. Trường cũng đưa ra danh sách những địa điểm chỉ nhận tiếp đón người khuyết tật hoặc người có yêu cầu đặc biệt về sức khỏe.
Nhà trường cũng khuyên sinh viên chủ động mang theo bộ đồ dùng cá nhân cơ bản khi lưu lại các địa điểm tránh trú, bao gồm túi ngủ, thuốc thường dùng, đồ vệ sinh cá nhân.
Dù vậy, các sinh viên cũng được khuyến cáo không mang theo quá nhiều đồ đến nơi tránh trú, bởi mỗi cá nhân chỉ được sử dụng một khoảng diện tích 2 mét vuông. Sinh viên tuyệt đối không được mang đồ uống có cồn, chất kích thích và vũ khí vào nơi tránh trú.

Thư viện của Đại học South Florida, ngôi trường nằm trong vùng bị ảnh hưởng trực tiếp bởi cơn bão Milton (Ảnh: USF).
Nhà trường và nhà chức trách địa phương đều nhấn mạnh rằng, tìm đến địa điểm tránh trú là giải pháp cuối cùng, nếu sinh viên không có lựa chọn nào khác.
Nếu có điều kiện di chuyển tới khu vực an toàn có nhà của người thân, bạn bè hoặc một khách sạn, nhà nghỉ nằm ngoài khu vực nguy hiểm, sinh viên nên cân nhắc ưu tiên các giải pháp này. Như vậy, các địa điểm tránh trú sẽ giảm bớt áp lực phục vụ.
Trong quá trình chuẩn bị đón bão, các khu vực bị ảnh hưởng mạnh bởi cơn bão đều có những chuyến xe bus di tản miễn phí, chạy thẳng tới các địa điểm tránh trú đã được nhà chức trách thông báo tới người dân. Sinh viên có thể sử dụng các chuyến xe này để chủ động di chuyển và tiết kiệm chi phí đi lại.
Các bãi đỗ xe của trường vẫn được mở, dù trường học và ký túc xá tạm dừng hoạt động. Nhiều bãi đỗ xe ở các khu vực không có nguy cơ ngập lụt cũng sẵn sàng cho người dân sống trong vùng có nguy cơ ngập lụt cao được đỗ xe miễn phí trong giai đoạn xảy ra bão Milton. Sinh viên chủ động tìm bãi đỗ xe phù hợp để bảo vệ an toàn tài sản cá nhân.
Các thông báo về cơn bão được nhà trường liên tục đăng tải trên các trang mạng xã hội chính thức, website của trường cũng như email gửi tới các sinh viên. Sau khi bão đã đi qua giai đoạn nguy hiểm, tùy tình hình, các lớp học sẽ dần có lịch hoạt động trở lại.
Ban giám hiệu của những trường nằm trong khu vực bị ảnh hưởng bởi bão Milton như Cao đẳng Hillsborough hay Đại học Central Florida, cũng đã thông báo tạm dừng các lớp học ít nhất tới hết ngày thứ 6 tuần này.
Ban giám hiệu các trường thông báo, tất cả bài tập đã giao cho sinh viên đều sẽ được hoãn thời hạn nộp bài tối thiểu tới thứ 2 tuần sau (14/10), để sinh viên yên tâm thực hiện kế hoạch tránh bão.

Ký túc xá của Đại học Central Florida mở cửa đón tất cả sinh viên của trường trong thời gian xảy ra bão Milton (Ảnh: UCF).
Ban giám hiệu trường Đại học Central Florida đánh giá ký túc xá của trường đảm bảo được các tiêu chí an toàn để sinh viên lưu lại, nên sẽ mở cửa ký túc xá xuyên suốt thời gian xảy ra bão Milton.
Toàn bộ sinh viên của trường dù có sống trong ký túc xá hay không, nếu muốn tới tránh trú an toàn, đều có thể tạm lưu lại trong thời gian xảy ra cơn bão.
Đại diện trường Đại học Central Florida cho hay: "Chúng tôi đưa ra quyết định này với mong muốn đưa lại lợi ích cao nhất cho sự an toàn chung của cộng đồng. Chúng tôi sẽ liên tục theo dõi các dự báo thời tiết để đưa ra những cập nhật cần thiết".
Đại học Florida A&M và Đại học Florida thậm chí còn tạm dừng hoạt động dạy học tới giữa tuần sau, để các sinh viên có thể ổn định lại cuộc sống sau bão, trước khi quay trở lại trường học.











