Phục hồi rạn san hô ở Nha TrangMôi trường ở vịnh Nha Trang, đặc biệt tại rạn san hô Hòn Mun, có biểu hiện suy thoái. Tỉnh Khánh Hòa đã đưa ra kế hoạch bảo vệ, phục hồi để phát triển bền vững.
Những rạn san hô "nghìn năm" ở Nha Trang chết hàng loạtRạn san hô ở Hòn Mun - Khu bảo tồn vịnh Nha Trang bị chết hàng loạt, chuyên gia cho rằng đây là tình trạng đáng báo động.
Nha Trang tạm dừng hoạt động du lịch lặn để bảo vệ rạn san hô "nghìn năm"Tỉnh ủy Khánh Hòa đề nghị tạm dừng hoạt động du lịch lặn biển tại các khu vực dễ làm tổn hại rạn san hô trong khu vực vùng Vịnh Nha Trang, đặc biệt ở Hòn Mun.
Khánh Hòa vào cuộc vụ rạn san hô "nghìn năm" ở Nha Trang chết hàng loạtTỉnh ủy Khánh Hòa yêu cầu nhanh chóng kiểm tra những thông tin về rạn san hô "nghìn năm" ở Nha Trang chết hàng loạt, từ đó làm rõ nguyên nhân và đề xuất các giải pháp xử lý, khắc phục.
Nhiều người dân ngang nhiên đào bới san hô ven bờ biển Nha TrangNgày 27/5, Trưởng Ban quản lý Vịnh Nha Trang Huỳnh Bình Thái cho biết, đã nắm được thông tin về việc nhiều người dân ngang nhiên đào bới các rạn san hô sống ven bờ biển Nha Trang.
Dự kiến thu phí tham quan Vịnh Nha TrangCác cơ quan chuyên môn tỉnh Khánh Hòa đang đóng góp ý kiến để trình UBND tỉnh này về phương án thu, nộp, quản lý và sử dụng phí tham quan danh lam thắng cảnh quốc gia Vịnh Nha Trang.
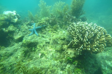
Hình ảnh "thiên đường san hô" ở Nha Trang trước khi chết mònTrước khi bị chết dần chết mòn, rạn san hô Hòn Mun đẹp ngỡ ngàng với hàng trăm loài san hô quý hiếm và hệ sinh thái vô cùng đa dạng.
Cá chết trắng, san hô gẫy đổ ở dưới đáy biển tỉnh Khánh HòaNhận được phản ánh về việc cá chết trắng, san hô gẫy đổ ở đáy biển khu vực Hòn Bạc từ một huấn luyện viên lặn biển, các cơ quan chức năng tỉnh Khánh Hòa vào cuộc kiểm tra.
KDI Holdings đầu tư 15 tỷ đồng tái sinh san hô tại Nha TrangMời tài trợ 100.000 USD, đầu tư gần 15 tỷ đồng, Tập đoàn KDI Holdings đang nỗ lực phục hồi rạn san hô tại vịnh biển Nha Trang góp phần bảo vệ môi trường.
Có nên cho "biển nghỉ" để cứu những rạn san hô nghìn năm tuổi?PGS.TS Nguyễn Chu Hồi cho biết thêm thực chất rạn san hô ở Hòn Mun là vùng lõi của khu bảo tồn biển vịnh Nha Trang đã có biểu hiện suy thoái mạnh ngay từ sau cơn bão lớn năm 2017.
Hỗ trợ 100.000 USD nghiên cứu phục hồi, tái tạo san hô tại vịnh Nha Trang100.000 USD sẽ được đầu tư cho việc nghiên cứu tái tạo san hô khu vực Bãi Tiên - một trong những nơi sở hữu những dải san hô đẹp nhất vịnh Nha Trang (Khánh Hoà).
Hành trình một năm bứt phá của Libera Nha TrangVới lượng giao dịch ấn tượng, liên tục được xướng tên tại các giải thưởng, xuất hiện trên hàng loạt bảng xếp hạng, Libera Nha Trang đã ghi dấu một năm 2024 thành công rực rỡ.