Siêu El Niño có thể đẩy nhiệt độ toàn cầu lên mức cao chưa từng thấyTheo dự báo, hiện tượng El Niño cực mạnh có thể sẽ xảy ra vào mùa hè này, và nó có thể đẩy nhiệt độ trên toàn cầu lên mức cực đoan chưa từng có.
Lở đất kinh hoàng ở Colombia báo hiệu El Niño trở lại mạnh hơn trong năm nayTrận lở đất tại Putumayo, tây nam Colombia, cuối tuần trước khiến cho hơn 250 người thiệt mạng và hơn 400 người bị thương là dấu hiệu cảnh báo cho việc hiện tượng El Niño có thể đang quay trở lại và mạnh mẽ hơn vào cuối năm nay. Điều đó có nghĩa những thảm họa tương tự có thể diễn ra nhiều hơn.
Nhìn lại 90 phút thánh địa Bernabeu câm lặng vì Torres“Torres tỏa sáng” là cụm từ quá xa xỉ trong suốt 3 năm qua, khi chàng tiền đạo người Tây Ban Nha ngày càng sa sút phong độ thảm hại. Nhưng rạng sáng nay ngay trên thánh địa Bernabeu, người hâm mộ lại được chứng kiến một El Niño bùng nổ như thuở nào.
Tốc độ nóng lên toàn cầu đã tăng nhanh hơn bao giờ hết trong thập kỷ quaMột phân tích mới cho thấy hiện tượng nóng lên toàn cầu đã tăng tốc gấp đôi kể từ năm 2015.
Giải mã “chuyển pha” khí hậu: Vì sao các cơn bão ngày càng bất ổn?Bão Wipha tuy không quá mạnh, nhưng lại gây mưa lớn kéo dài, gió giật bất thường và nguy cơ sạt lở ở nhiều nơi. Đây là hệ quả cho thấy thời tiết ngày càng khó lường và cực đoan hơn.
Chuyên gia nêu lý do mùa đông năm nay ấm hơn trung bình nhiều nămChuyên gia lý giải, đầu mùa đông năm nay diễn biến thời tiết bất thường, không khí lạnh hoạt động yếu, ít, cường độ ngắn nên ấm hơn trung bình nhiều năm.
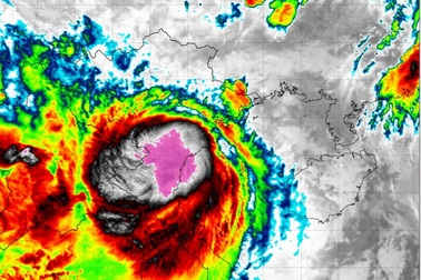
Bão Matmo vào Biển Đông, dự báo đổ bộ Quảng NinhÔng Hoàng Phúc Lâm, Phó giám đốc Trung tâm Dự báo khí tượng thủy văn quốc gia, dự báo rạng sáng 6/10, bão Matmo có thể đổ bộ đất liền Quảng Ninh với cường độ cấp 9-10.
2016 được ghi lại là năm nóng nhất từ trước đến nayNhư những gì mà các nhà khoa học khí hậu đã dự đoán vào đầu và cuối năm 2015, bảng thống kê cuối cùng cho thấy năm 2016 lại một lần nữa khẳng định sự khác biệt kém may của mình trong việc trở thành năm nóng nhất được ghi lại, dựa trên dữ liệu từ năm 1880 trở lại đây
Hiện tượng El Nino có thể trở lại khiến nắng nóng lập kỷ lục trong năm 2023Năm 2022, nhiều quốc gia trên thế giới, đặc biệt là châu Âu đã ghi nhận kỷ lục về nắng nóng, song trong năm nay chúng ta có thể trải qua nhiệt độ thậm chí còn cao hơn.
Gen Z làm fanpage chia sẻ kiến thức địa lý hút hàng chục ngàn lượt theo dõiHoàng Mạnh Phúc (sinh năm 2000) tự xây dựng một trong những trang chia sẻ kiến thức về địa lý thu hút 75.000 bạn trẻ theo dõi.
Fernando Torres trở về “mái nhà xưa” Atletico MadridTheo thông tin từ báo giới Tây Ban Nha, Atletico Madrid đã đạt được thỏa thuận với AC Milan và Chelsea để đưa chân sút Fernando Torres trở lại Vicente Calderon.
Vì sao tuyết rơi trắng xóa sa mạc khô cằn nhất thế giới?Cộng đồng khoa học đã chấn động khi chứng kiến tuyết bất ngờ rơi phủ trắng sa mạc Atacama – nơi khô hạn nhất thế giới.