Messi và đội tuyển Argentina "méo mặt" vì siêu bão MiltonDo ảnh hưởng của siêu bão Milton, đội tuyển Argentina và Messi đã phải thay đổi kế hoạch chuẩn bị cho vòng loại World Cup 2026.
Mỹ: Bùng nổ căng thẳng chính trị do vấn đề đối phó siêu bão MiltonGiữa lúc người dân và giới chức ở bang Florida nỗ lực dọn dẹp và gắng gượng dậy sau siêu bão Milton, vấn đề ứng phó với thảm họa thiên nhiên lại gây tranh cãi trong giới chính trị Mỹ.
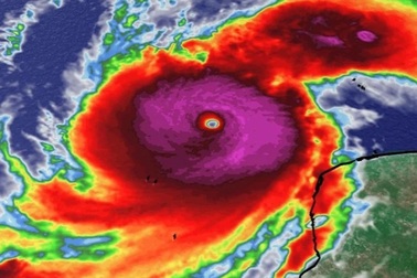
00:42Siêu bão Milton gây mưa lớn, gió giật ở FloridaBão Milton đã đổ bộ bang Florida của Mỹ tối 9/10 với sức gió lên đến gần 200km/h và gây ngập lụt cục bộ.
Siêu bão Milton quan sát từ Trạm vũ trụ quốc tế ISSPhi hành gia Matthew Dominick của NASA đã cung cấp cho chúng ta góc nhìn toàn cảnh ấn tượng về cơn bão Milton đang tiến về đất liền.
Siêu bão Milton: Giao thông tê liệt, xăng cạn kiệt, siêu thị Mỹ cháy hàngNhiều người vẫn đang mắc kẹt tại bang Florida dù đã được yêu cầu sơ tán khẩn cấp vì bão Milton. Giao thông nơi đây tê liệt, sân bay ngừng hoạt động, trạm xăng cạn kiệt, siêu thị liên tục cháy hàng.
Một số thành phố của bang Florida ban bố giới nghiêm trước siêu bão MiltonDự báo mức độ nguy hiểm của bão Milton, chính quyền một số hạt và thành phố ở bang Floida (Mỹ) đã ban bố lệnh giới nghiêm để đảm bảo an toàn cho người dân.
Người Việt ở Florida ngồi trên ô tô 12 tiếng đi tránh siêu bão MiltonChị Nguyễn Nhung (sống ở Tampa, Florida) và chồng, con trải qua hành trình 12 tiếng trên ô tô để đến bang Georgia sơ tán tránh bão Milton.
Chú chó bị chủ bỏ rơi, trói vào hàng rào trước khi siêu bão Milton ập đếnBị chủ nhân bỏ rơi và buộc chặt vào hàng rào, chú chó liên tục sủa trong tuyệt vọng. May mắn, cảnh sát ở thành phố Tampa (Mỹ) đã kịp thời giải cứu con vật đáng thương.
Siêu bão thế kỷ Milton: "Nếu không sơ tán, nhà sẽ thành quan tài"Hơn 1 triệu người ở bang Florida đã được yêu cầu sơ tán để tránh rủi ro trước khi siêu bão Milton đổ bộ vào Mỹ.
Tại sao nước biển vịnh Tampa rút ngược ra đại dương khi bão Milton đổ bộTrước khi siêu bão Milton đổ bộ, người dân vịnh Tampa, tiểu bang Florida lo ngại nguy cơ lũ lụt nghiêm trọng, song điều bất ngờ đã xảy ra.
02:21Máy bay săn bão suýt bị quật ngã khi bay vào tâm bão MiltonVideo từ máy bay săn bão của Mỹ cho thấy sức mạnh của siêu bão Milton có thể hất phi hành đoàn khỏi ghế ngồi với sức gió vượt ngoài dự báo.
Bão Milton càn quét: Loạt siêu thị tan hoang, nước sạch trở nên khan hiếmSau khi siêu bão Milton càn quét, nhiều khu vực ở bang Florida chìm trong nước, hàng loạt kệ siêu thị trống rỗng vì người Mỹ ồ ạt mua nhu yếu phẩm như nước, lương thực, đèn chiếu sáng...