Siêu bão Krathon có ảnh hưởng đến Việt Nam?Dự báo bão Krathon không có khả năng ảnh hưởng đến vùng ven biển và đất liền nước ta, khả năng bão Krathon sẽ đổ bộ vào Đài Loan, Trung Quốc.
Cận cảnh bão Krathon càn quét Đài LoanBão Krathon đổ bộ Đài Loan với sức gió lên tới hơn 200km/h khiến nhiều tòa nhà bị tốc mái, cây cối gãy đổ, mảnh vỡ vương vãi khắp nơi.
00:19Sóng bốc cao trong bão Krathon ở Đài LoanBão Krathon đổ bộ Đài Loan khiến biển động mạnh, có thời điểm sóng bốc lên ngang tòa nhà cao tầng.
Bão Krathon suy yếu, di chuyển ra ngoài Biển ĐôngTrưa 3/10, Cơ quan khí tượng cho biết bão Krathon đã di chuyển ra ngoài Biển Đông và không có khả năng quay trở lại.
Bão Krathon cấp 15, giật trên cấp 17 di chuyển thế nào?Bão Krathon đang trên vùng biển phía Nam đảo Đài Loan (Trung Quốc), có khả năng đi vào vùng biển phía Đông Bắc khu vực Bắc Biển Đông.
01:15Mái nhà, container bị thổi bay trong bão Krathon ở Đài LoanBão Krathon đổ bộ Đài Loan với sức gió lên tới hơn 200km/h khiến nhiều tòa nhà bị tốc mái, cây cối gãy đổ, mảnh vỡ vương vãi khắp nơi.
Bão Krathon tăng cấp độ vào Biển Đông, trở thành cơn bão số 5Bão Krathon mạnh cấp 16, giật trên cấp 17 đã đi vào vùng biển phía Đông Bắc của khu vực Bắc Biển Đông, trở thành cơn bão số 5.
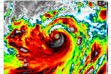
Bão Krathon rất mạnh cấp 15 đang hoạt động gần Biển ĐôngCơn bão rất mạnh có tên quốc tế Krathon đang hoạt động ở vùng biển phía Bắc đảo Lu Dông (Philippines), sức gió mạnh nhất vùng gần tâm bão mạnh cấp 15, giật trên cấp 17.
Châu Á có thể sắp hứng một siêu bão nữaBão Krathon đã đổ bộ vào các đảo phía bắc của Philippines và có thể mạnh lên thành siêu bão khi tiến về phía đảo Đài Loan.
Cơn bão rất mạnh Krathon đang di chuyển thế nào?Bão Krathon đang hoạt động trên vùng biển phía Đông Bắc khu vực Bắc Biển Đông, sức gió mạnh nhất vùng gần tâm bão mạnh cấp 14-15, giật trên cấp 17.
Vì sao năm nay xuất hiện nhiều siêu bão với sức tàn phá khủng khiếp?Chuyên gia nhận định nhiều khả năng năm nay sẽ là năm ấm nhất được ghi nhận và khi nhiệt độ tăng lên thì các cơn bão mạnh cũng gia tăng.