Bão Trà Mi di chuyển bất thường, có khả năng đạt cấp 12, giật cấp 15
(Dân trí) - Chuyên gia dự báo do chịu tác động cùng lúc của hệ thống không khí lạnh và hoàn lưu bão mới hình thành ngoài phía Đông Philipiines nên hướng di chuyển của bão Trà Mi sẽ còn thay đổi bất thường.
Ông Nguyễn Văn Hưởng, Trưởng phòng Dự báo Thời tiết Trung tâm Dự báo Khí tượng Thủy văn Quốc gia cho biết, chiều 24/10, bão Trami (tên tiếng Việt là Trà Mi) vượt qua kinh tuyến 120 và đi vào Biển Đông, trở thành cơn bão số 6.
Theo ông Hưởng, trong 48 giờ tới bão số 6 di chuyển chủ yếu theo hướng Tây, tốc độ trung bình khoảng 15km/h và có xu hướng mạnh dần lên. Khi di chuyển tới khu vực phía Đông của quần đảo Hoàng Sa, cường độ bão có khả năng đạt mạnh nhất khoảng cấp 12, giật cấp 15.
Trong những ngày tới, do chịu tác động cùng lúc của hệ thống không khí lạnh và hoàn lưu bão mới hình thành ngoài phía Đông Philippines nên hướng di chuyển của bão số 6 sẽ còn thay đổi bất thường.

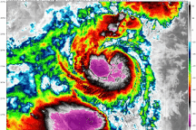
Bão Trà Mi có khả năng đạt mạnh nhất khoảng cấp 12, giật cấp 15 (Ảnh: NCHMF).
Ông Hưởng dự báo khi đi qua quần đảo Hoàng Sa, đến vùng biển ngoài khơi Trung Bộ (sau ngày 26/10) bão có khả năng di chuyển chậm lại, giảm cấp và đổi hướng.
"Khả năng đổ bộ vào đất liền còn chưa rõ ràng, cần phải theo dõi tiếp", ông Hưởng cho biết.
Vị chuyên gia cảnh báo trong 2 ngày tới cần lưu ý các nguy hiểm về gió mạnh, sóng lớn trên biển, bao gồm khu vực phía Bắc, giữa của Biển Đông.
Vùng biển huyện đảo Hoàng Sa từ hôm nay trở đi sẽ có gió mạnh cấp 6-7, vùng gần tâm bão cấp 8-9, sau đó sẽ tăng mạnh theo quá trình tăng cấp của bão; cả khu vực phía Nam của Biển Đông cũng chịu tác động của gió mùa Tây Nam mạnh cấp 6 gây biển động.











